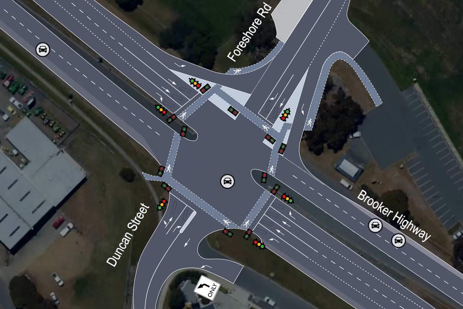
New traffic signals at the Brooker Highway’s Montrose foreshore intersection will switch on tomorrow morning, marking the end of a $9 million safety upgrade in Hobart’s north.
The lights at the Brooker Highway, Foreshore Road and Duncan Street intersection will go live on Tuesday, subject to suitable weather for final line-marking.
Drivers are being urged to expect changes in traffic flow and take extra care as they adjust to the new arrangements.
The switch-on completes the intersection upgrade, jointly funded by the federal government ($7.2 million through the Road Safety Program) and the state government ($1.8 million through the Tasmanian Road Safety Levy).

Infrastructure and Transport Minister Kerry Vincent said the activation was a major milestone for the area.
“We are excited to reach the final milestone in the upgrades of the Brooker Highway’s Montrose Foreshore intersection,” Vincent said.

“The new upgrades will lower the risk of crashes and improve safety for all road users at this busy intersection, which includes school children, community groups, freight vehicles and those who access the Montrose Bay Foreshore Park.”
The intersection serves Montrose Bay High School, the foreshore park, Glenorchy Rowing Club and Montrose Yacht Club and has recorded 12 crashes in the past five years.
Federal minister Kristy McBain said the new signals would make everyday trips safer.
“This upgrade will reduce congestion and improve traffic flow on one of Hobart’s busiest routes, enhancing safety for motorists and pedestrians alike,” McBain said.

Elwick MLC Bec Thomas said the change would give the community greater confidence using the intersection.
“These upgrades will significantly improve safety outcomes, reduce the risk of further incidents and give the community greater confidence when travelling through the area,” Thomas said.
The signals will begin operating on Tuesday morning.